In der Planung für den Umbau der Kreuzung von A560, B8, L333 und Wingenhof in Hennef geht es endlich weiter. Dem Bauausschuss liegt ein Entwurf vor.
AutobahnSo sollen die Probleme am dicken Ende der A560 in Hennef behoben werden

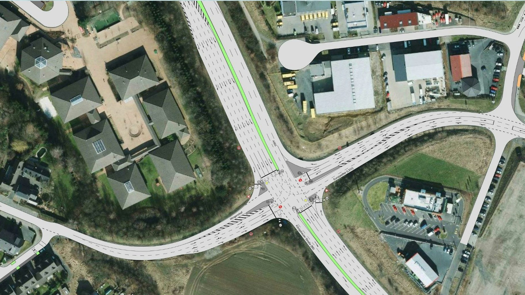
Der Plan für Sanierung und Umbau des Verkehrsknotens am Ende der A560 in Hennef sieht zusätzliche Abbiegespuren vor.
Copyright: Ingenieurbüro Stelter
Im März 2016 hatte der Bauausschuss des Hennefer Stadtrates dem Konzept für eine Verbesserung des Verkehrsknotens am Ende der A560 zugestimmt. Achteinhalb Jahre später ist man einen Schritt weiter. Dem am Mittwoch tagenden Ausschuss liegt eine mehrfach überarbeitete und konkretisierte Vorentwurfsplanung vor.
Diese Ampelkreuzung in Hennef ist schon seit langem überlastet
Das Problem ist, dass die Ampelkreuzung, in die Autobahn, B8, Europaallee (L333) und die Straße Wingenshof münden, schon lange nicht mehr dem Verkehrsaufkommen entspricht. Die Linksabbiegerspur von der A560 auf die L333 läuft in Stoßzeiten regelmäßig voll; die letzten Autofahrer, die sich einordnen wollen, blockieren dann die linke Geradeausspur.

Die Linksabbiegerspur in Richtung Siegtal läuft vor allem am Nachmittag und frühen Abend voll. Eine zweite Abbiegespur soll angelegt werden.
Copyright: Quentin Bröhl
Staus sind auch am Wingenshof an der Tagesordnung. Mit der Möglichkeit, doppelspurig links abbiegen zu können, soll in beiden Fällen Abhilfe geschaffen werden. Zudem sind am Wingenshof eine separate Rechtsabbiegerspur auf die B8 in Richtung Uckerath sowie in Gegenrichtung eine neue Linksabbiegerspur zur Einfahrt in das geplante Gewerbegebiet Kleinfeldchen vorgesehen.
Die weitere Planung von „Kleinfeldchen“, gegen die eine Bürgerinitiative vor allem wegen des drohenden Verkehrskollapses am Wingenshof protestiert hat, war auf Eis gelegt worden. Zuerst muss die Großkreuzung ausgebaut werden.
Nach einer im Herbst 2016 geschlossenen Verwaltungsvereinbarung war die Stadt Hennef an Stelle des Landesbetriebs Straßenbau NRW mit der Planung in Vorleistung gegangen. Das beauftragte Ingenieurbüro Stelter (Siegburg) stellt nun den mit dem Landesbetrieb abgestimmten Vorentwurf für Sanierung und Umbau der überlasteten Kreuzung dem Bauausschuss vor.

Die Kreuzung, an der die A560, die B8, die Europaallee (L333) und die Straße Wingenshof aufeinander treffen, ist ein Problemfall.
Copyright: Quentin Bröhl
Dabei geht es auch um die Frage, ob und wie der Umbau auch bei laufenden Verkehr möglich sein wird. Sperrungen seien erforderlich, heißt es im Papier des Ingenieurbüros zum Bauablauf in sechs Phasen: „Insbesondere Wingenshof und L333 sind zu schmal, um während der Bauarbeiten in diesen Bereichen noch Verkehr aufzunehmen.“ Zur Lösung gehört, eine Baustraße im Nordwinkel der Kreuzung anzulegen. Über die Straße Meiersheide und diese Verbindung könnte man Busse und Rettungsfahrzeuge umleiten.
Stadt Hennef, Land und Bund schließen eine Kreuzungsvereinbarung
Nächste Schritte zur Problembehebung am dicken Ende der Autobahn sind ein Bebauungsplan für das Baurecht, die Ausführungsplanung und die Vorbereitung der Bauvergabe. Außerdem liegt zur Unterzeichnung eine Kreuzungsvereinbarung auf dem Tisch. Beteiligte sind der Bund für A560 und B8, vertreten durch die Autobahn GmbH, das Land NRW für die L333, vertreten durch den Landesbetrieb Straßenbau, und die Stadt Hennef für den Wingenshof.
In der Vereinbarung ist auch die Kostenteilung geregelt. Einschließlich Grunderwerb für die nötige Verbreiterung der Kreuzungsäste sind 5,5 Millionen Euro Gesamtausgaben kalkuliert. Auf den Bund entfallen rund 2,2 Millionen und auf das Land 1,9 Millionen Euro. Der Anteil der Stadt beträgt 1,4 Millionen Euro, der sich bei einem Landeszuschuss von 70 Prozent nach den Förderrichtlinien für kommunalen Straßenbau auf 420.000 Euro reduziert.
Als frühester Baubeginn ist ein Zeitpunkt am Ende des Jahres 2025 prognostiziert. Die Bauzeit beträgt schätzungsweise 15 bis 20 Monate.


