Kann das geplante Hennefer Gewerbegebiet Kleinfeldchen an die B8 angebunden werden? Für diese Lösung soll die Stadt bei Bund und Land werben.
Lange PlanungHennefer Rat gibt grünes Licht für Lösung des Problems am Ende der Autobahn

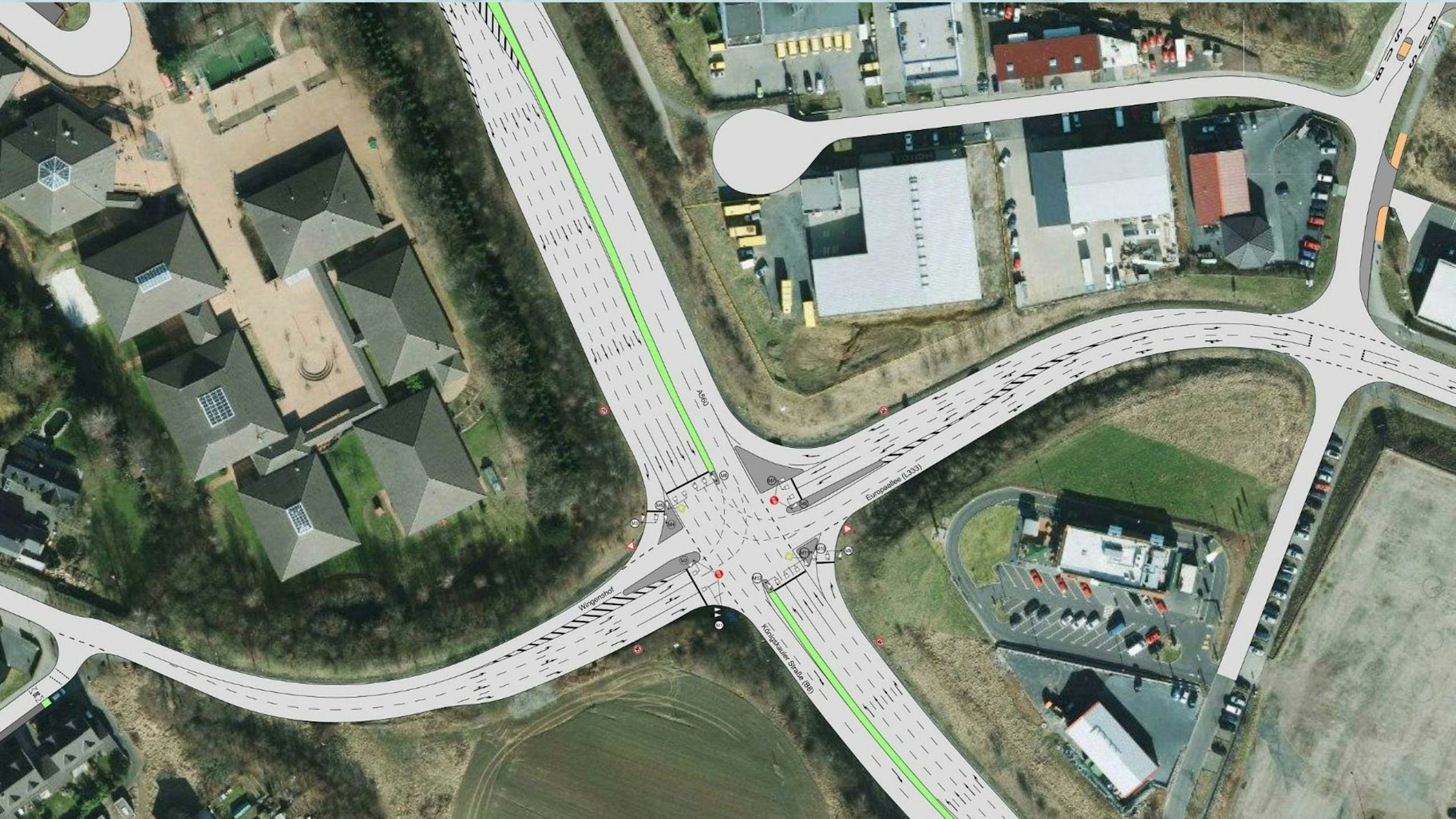
Ein überarbeiteter und konkretisierter Vorentwurf für den geplanten Ausbau der Kreuzung am Autobahnende liegt vor. Links ist die Gesamtschule Meiersheide zu sehen.
Copyright: Ingenieurbüro Stelter
Für den Umbau der Großkreuzung am Ende der Autobahn 560 hat der Hennefer Stadtrat am Montag eine weitere Ampel auf Grün gestellt. Die Stadt kann jetzt mit der Autobahn GmbH und dem Landesbetrieb Straßen NRW eine Kreuzungsvereinbarung unterzeichnen.
Doppelspuren für Linksabbieger sind geplant
Wie berichtet, ist das seit neun Jahren in Planung befindliche Vorhaben mit der Vorlage eines konkretisierten Vorentwurfs endlich einen Schritt vorangekommen. Vor allem morgens und am frühen Abend ist der Verkehrsknoten von A560, Europaallee (L333), B8 und der Straße Wingenshof überlastet. Unter anderem mit Doppelspuren für Linksabbieger (von der A560 auf die Europaallee und vom Wingenshof auf die A560) soll das Problem behoben werden.
Der Bauausschuss gab Mitte November noch kein grünes Licht für die Kreuzungsvereinbarung. An dessen Stelle beschloss jetzt einhellig der Rat. Alle Fraktionen folgten dabei einem von CDU, FDP und Unabhängigen formulierten Ergänzungsantrag, der das geplante Gewerbegebiet „Kleinfeldchen“ betrifft.

Das Ende der Autobahn 560 (rechts), die Europaallee (L333) (links), die Bundesstraße 8 (links oben) und die Straße Wingenshof münden in die Ampelkreuzung.
Copyright: Ralf Rohrmoser-von Glasow
Das Ratsbündnis beharrte darauf, eine Anbindung des an die Kreuzung angrenzenden Gewerbegebiets über die Bundesstraße 8, statt über die Straße Wingenshof, nicht endgültig zu verwerfen. Diese Lösung, die von den Landesplanern bisher stets abgelehnt wurde, sei weiterhin erstrebenswert.
Der Stadtrat gab der Verwaltung den Auftrag, beim Landesbetrieb und bei der Autobahn GmbH dafür zu werben, auch nach Abschluss des Kreuzungsumbaus eine direkte Anbindung von „Kleinfeldchen“ an die B8 nicht auszuschließen. „Es ist wirklich wichtig, dass wir uns da nicht selbst die Tür zuschlagen“, sagte CDU-Fraktionschef Sören Schilling.
Wann die Arbeiten an dem Knotenpunkt beginnen, ist indes noch ungewiss. Als frühester Baubeginn ist ein Zeitpunkt am Ende des Jahres 2025 prognostiziert. 15 bis 20 Monate werden die Bauarbeiten schätzungsweise dauern.
Bund, Stadt und Land teilen sich Gesamtkosten von 5,5 Millionen Euro
In der Kreuzungsvereinbarung ist auch die Kostenteilung geregelt. Einschließlich Grunderwerb für die Verbreiterung der Kreuzungsäste sind 5,5 Millionen Euro Gesamtausgaben kalkuliert. Auf den Bund entfallen rund 2,2 Millionen, auf das Land 1,9 Millionen Euro. Der Anteil der Stadt beträgt 1,4 Millionen Euro, der sich bei einem Landeszuschuss von 70 Prozent nach den Förderrichtlinien für kommunalen Straßenbau auf 420.000 Euro reduziert.

